首页:上海松江区(云顶别墅)售楼处电话-楼盘详情-配套-首页网站-上海松江区(云顶别墅)2026最新价格-楼盘详情-首页网站→基础参数

搜狐焦点鄂州站 2026-01-25 14:12:54
用手机看
扫描到手机,新闻随时看

扫一扫,用手机看文章
更加方便分享给朋友

上海松江区云顶别墅售楼处电话400-112-0302【售楼中心】

云顶别墅云顶别墅售楼处电话:400-112-0302【售楼中心】

咨询高峰期请耐心等待,预约来电尊享内部优惠,专业一对一热情服务,让您用专业眼光去买房。

上海稀缺独栋产品——松江泗泾板块

云顶别墅

建面约242-383㎡花园住宅

均价9.5万/㎡

仅有12套!

入围比1.3

认购在即!

规划设计方案已出

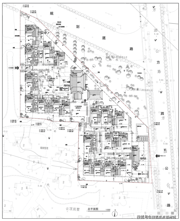
云顶别墅二期的设计方案其实出了有一年多时间了,只是一直没什么新进展,看得出来开发商是真的不着急卖呀!

从规划设计方案来看,每一栋别墅的大小户型、朝向,都有些微差距,与曼荼园那种“一栋一设计”应该有几分异曲同工之妙,小区内部有2处重视园林景观,一处小区配套(大概就是会所)。

从这份经济技术指标来看,二期C区容积率只有0.268,全地块≤0.3!这在目前的上海新拍地块中是真正意义上的“绝版”——限墅令下早已停止了1.0以下容积率地块出让,也就早年拿地的项目才能做到!

项目位于泗陈公路,自带商业,会所、餐饮为主。ps:小区内部已交付部分也有一处社区配套,会议中心、商务中心、酒店、足球场、桌球房、健身房、咖啡吧、酒吧、网球场等,应有尽有!

云顶别墅位置示意

整个小区位于9号线泗泾地铁站东侧大约900米左右。很多人去了松江泗泾探访云顶别墅的待售楼栋,基本都会跑到云顶别墅2002年就交付的位于泗陈公路上的一期大门跟前,当然不是咯,找错地方了!

云顶别墅南门

云顶别墅

云顶别墅售楼处电话:400-112-0302【售楼中心】

咨询高峰期请耐心等待,预约来电尊享内部优惠,专业一对一热情服务,让您用专业眼光去买房。

而项目待售的12套独栋别墅,实际位于赵非公路上的西门旁的二期范畴内。云顶别墅分为一期和二期,一期紧靠泗陈公路,早已是交付超过20年的成熟居住小区,二期则在一期的北面。 实地探访了还有重大惊人发现,二期除了12栋待售产品外,还有足足至少46栋已经修造但“疑似长期停工荒废”的独栋别墅!

另外,这12栋相对独立于小区其他部分的产品,是不是叫 云顶地中海 会更合适?

云顶别墅小区示意

上海总是有这样的神奇神秘项目,不实地探访,根本发现不了这么多奥秘。这次待售的12套房源,只能算是云顶别墅二期西侧的一小块位置,更多的至少46套建造荒废的独栋别墅静默中,不知道开发商是否在后续会重启建造和陆续投入市场销售。二期东侧还有一片神秘地基。

云顶别墅小区示意

泗泾地铁站约1.2km

出门就是学校

就一个独栋别墅小区而言,云顶别墅的周边配套相比佘山还是接地气许多了。

项目正大门直线距离9号线泗泾站约1.2km,9号线9站徐家汇、6站漕河泾、3站七宝!自驾则通过嘉闵高架链接大虹桥,以沪渝高速绑定长宁、徐汇CBD!

泗泾地铁站旁边就是本地居民最常去的商业:三湘商业广场、大润发、保利悦活荟;地铁站北面还有规划为9万方的商业体。

项目东侧就是一所公办学校泗泾实验学校,松江四中等;幼儿园有松江区第五幼儿园、松江区泗泾幼儿园、海伦幼儿园。

医疗配套有泗泾医院、上海市第一人民医院南院;

生态方面有佘山国家森林公园、上海月湖雕塑公园、上海欢乐谷等。

云顶别墅

云顶别墅售楼处电话:400-112-0302【售楼中心】

咨询高峰期请耐心等待,预约来电尊享内部优惠,专业一对一热情服务,让您用专业眼光去买房。

郑重承诺:此房源信息真实有效,开发商直属全程营销策划,中介勿扰如有问题欢迎来电咨询,来电即可享受买房优惠!

1、本资料为要约邀请,不作为要约或承诺;买卖双方的权利义务以双方签订的《商品房买卖合同》及其补充协议、附件等书面文件为准;相关宣传内容不排除因政府相关规划、规定及出卖人分期规划、未能控制等原因发生变化;出卖人将!不定期对宣传材料进行修改,敬请留意最新资料。

2、图片来源于网络,仅作为推广示意使用;如涉及版权使用,请与我司联系。

声明:本文由入驻焦点开放平台的作者撰写,除焦点官方账号外,观点仅代表作者本人,不代表焦点立场。